双柏县自然资源局建设项目竣工规划
核实验收公示
(双自资验收公示2025005号)
项目名称:青香树光伏电站
项目地点:安龙堡乡青香树村民委员会
申报类别:建设工程竣工规划核实验收
建设单位:双柏徽阳新能源技术有限公司
核实单位:双柏县自然资源局
公示时间:2025年6月5日至2025年6月11日
公示地点:项目所在地、乡镇主要街道
公示网址:双柏县人民政府门户网站
组织公示单位:双柏县自然资源局
意见反馈联系电话:0878-7721516
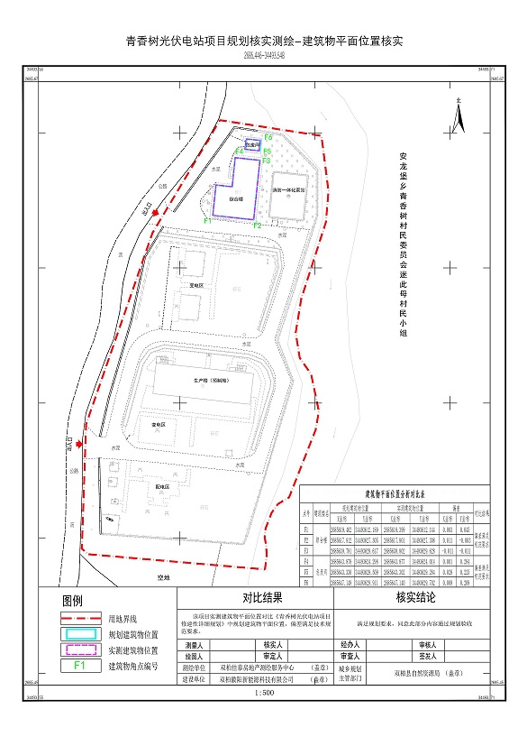
项目简介:青香树光伏电站项目位于安龙堡乡青香树村民委员会,规划总用地面积10806.12㎡,其修建性详细规划于2025年3月26日审定,项目总建筑面积为562.36㎡均为计容建筑面积,容积率0.05,建筑密度2.70%,绿地率10.18%。青香树光伏电站项目2025年6月5日双柏徽阳新能源技术有限公司向我局申请对项目建设内容进行规划核实验收,经测绘单位实测和现场比对审核,实测指标(青香树光伏电站项目实测用地面积10806.12㎡,总建筑面积为562.36㎡,容积率0.05,建筑密度2.71%,绿地率9.75%)。现该项目已实施完毕,经审核整体经济技术指标及公建配套、工程管线等符合该项目规划,根据《楚雄彝族自治州建设工程竣工规划验收管理办法》的规定特进行公示,如对青香树光伏电站项目规划核实验收有异议的请在公示期限内与我局联系。
附件内容:
1.青香树光伏电站项目用地范围核实图;
2.青香树光伏电站项目规划验收平面位置核实图。
双柏县自然资源局
2025年6月5日
1.青香树光伏电站项目用地范围核实图

2.青香树光伏电站项目规划验收平面位置核实图
