为深入贯彻落实习近平总书记关于烈士褒扬工作重要指示精神,切实提升烈士纪念设施的管理保护水平,明确管理责任,根据《中华人民共和国英雄烈士保护法》《烈士褒扬条例》及《烈士纪念设施保护管理办法》相关规定,现将双柏县县级及以下烈士纪念设施保护范围划定有关事项公告如下:
一、查姆公园烈士纪念碑
设施地址:双柏县查姆公园内,经度101.64080858, 纬度24.68063538。
保护级别:县级烈士纪念设施
保护管理单位:双柏县退役军人事务局
保护范围:总面积1845.22 ㎡,如下图:

二、大庄烈士陵园
设施地址:双柏县大庄镇大庄社区沙甸街,经度 101.838267, 纬度 24.746319。
保护级别:县级烈士纪念设施
保护管理单位:双柏县大庄镇人民政府
保护范围:总面积678.2 ㎡,如下图:

三、新街烈士陵园
设施地址:双柏县安龙堡乡新街村委会新街村,经度 101.940346, 纬度 24.474828。
保护级别:县级烈士纪念设施
保护管理单位:双柏县安龙堡乡人民政府
保护范围:总面积1983.83㎡,如下图:

四、老黑山烈士纪念碑
设施地址:双柏县妥甸镇东兴社区老黑山,经度 101.644616, 纬度 24.71106。
保护级别:县级烈士纪念设施
保护管理单位:双柏县妥甸镇人民政府
保护范围:总面积361.63㎡,如下图:

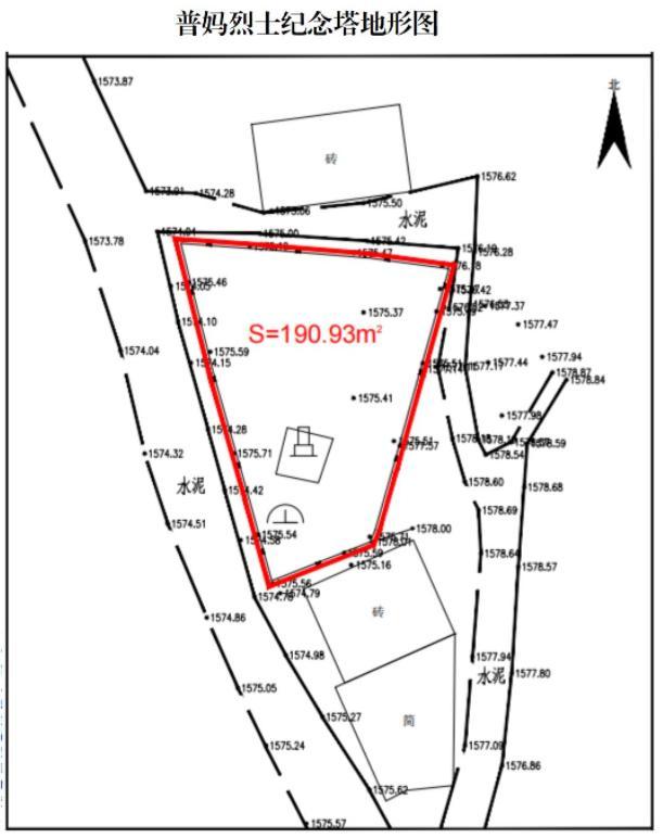
五、普妈烈士纪念塔
设施地址:双柏县大庄镇普妈村委会旁,经度 101.784952, 纬度 24.675252。
保护级别:县级烈士纪念设施
保护管理单位:双柏县大庄镇人民政府
保护范围:总面积190.93㎡,如下图:

六、杨维庄烈士纪念碑
设施地址:双柏县大庄镇杞木塘村委会陈万庄村,经度101.998595, 纬度 24.822966。
保护级别:县级烈士纪念设施
保护管理单位:双柏县大庄镇人民政府
保护范围:总面积149.88㎡,如下图:

七、相关要求
任何部门或个人非法侵占烈士纪念设施保护范围内的土地、设施,破坏、污损烈士纪念设施,或者在烈士纪念设施保护范围内为烈士以外其他人修建纪念设施、安放骨灰、遗体的,由烈士纪念设施保护单位(县退役军人事务局)责令改正,恢复原状、原貌;造成损失的,依法承担赔偿责任;构成犯罪的,依法追究刑事责任。
双柏县退役军人事务局
2024年11月26日